サザンビーチ茅ケ崎海水浴場まで約1.4km!自転車6分!
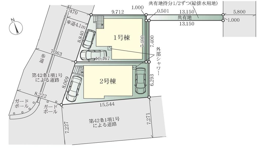
茅ヶ崎市南湖5丁目 2号棟
- 価格(税込)
- 5,499万円
- おすすめポイント
- サザンビーチ茅ケ崎海水浴場まで約1.4km!自転車6分! BRANCH茅ヶ崎が近く買い物も便利!
物件詳細
| 物件名 | 茅ヶ崎市南湖5丁目 2号棟 |
|---|---|
| 所在地 | 神奈川県茅ヶ崎市南湖5丁目 |
| 交通 | JR東海道本線「茅ケ崎」駅 【徒歩】25分 JR相模線「茅ケ崎」駅 【徒歩】25分 |
| 間取り | 4LDK |
|---|---|
| 構造 | 木造2階建 |
| 築年月 | 2025年11月 |
| 地目 | 宅地 |
| 取引形態 | 仲介 |
| 管理形態 | |
| 土地の権利形態 | 所有権 |
| 修繕積立金(月) | ¥0 |
| 建物面積 | 102.67㎡ |
|---|---|
| 土地面積 | 102.16㎡ |
| 用途地域 | 1種中高 |
| 駐車場 | 有 |
| 現況 | 完成済 |
| 引渡し日 | 即時 |
| 管理費(月) | ¥0 |
| 設備 | 室内洗濯機置場 / 都市ガス / 複層ガラス / フローリング / 全居室フローリング / 電気 / 上水道 / 下水道 |
|---|---|
| 備考 |











































































